De Gortsteeg
Door Bernd Ooijevaar
Een van de meest tot de verbeelding sprekende facetten uit de Hoogwouder historie is misschien wel het Huis Hoogwoude. Slechts een handvol schamele gegevens biedt een bewijs van het bestaan van dit omgrachte huis uit de vijftiende eeuw. Nagenoeg elk ander spoor ontbreekt. De overleveringen geven enig houvast wat betreft de ligging van het voormalige 'kasteel' en deze volksverhalen wijzen in de 20e eeuw voornamelijk naar de plaats waar thans tankstation Tuk is gevestigd. In het Aardrijkskundig Woordenboek van A.J. van der Aa uit 1844 blijkt echter dat men toendertijd dacht dat het Huis Hoogwoude aan de Gortsteeg stond. Om meer inzicht te krijgen in de ligging van het verdwenen 'kasteel' vond ik het van belang gegevens te vergaren omtrent de Gortsteeg.

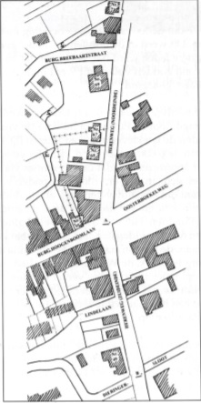
Ik citeer uit Pieter Bossen de volgende mededeling omtrent de Gortsteeg (zie tevens op kaartje bij de pijltjes): Aan den Heerenweg te Hoogwoud tusschen het huis van de Wed. A. Rooker (dat is Herenweg 65) en dat van Dr. J. Pool (dat is Herenweg 69), arts, staat een boschje, dat tegenwoordig (2940) behoort aan de familie van wijlen Notaris H. de Boer. Voorheen was daar de Gortsteeg. Zij liep Westwaarts tot aan de sloot, vervolgens Zuidwaarts tot aan den Boekelweg (Kerkelaan) bij het huis van C. Luiken (dat is Burgemeester Hoogenboomlaan 55), dat naast de stal van de herberg de Eendracht (dat is Het Witte Huis) staat.
De Gortsteeg bestond in 1940 dus niet meer maar, een krappe honderd jaar daarvoor nog wel blijkens A.J. van der Aa. Op de eerste kadastrale kaart uit 1832 is echter geen spoor van de Gortsteeg te vinden, het was blijkbaar geen openbare weg maar een soort pad dat zich over een aantal particuliere percelen uitstrekte. Een kadastrale kaart geeft namelijk alleen de eigendomsgrenzen weer van huizen en percelen.
Tussen Het Witte Huis en Burgemeester Hoogenboomlaan 55 liep inderdaad een steeg, de eigenaar van de herberg was in de 18e eeuw verplicht om zijn buren van nr. 55 recht van overpad te verlenen naar de gezamenlijke askuil (as- en afvalput) en toilet die achter Het Witte Huis stonden opgesteld. Over de rest van Pieter Bossens Gortsteeg zijn geen 'harde' gegevens bekend. In de Transporten en Hypotheken (verkoop- en overdrachtsakten van huizen en land) van Hoogwoud in de 18e eeuw bevinden zich een aantal stukken waarin de Gortsteeg wordt genoemd.
Op 11 mei 1755 werd een huis verkocht dat was gelegen ten westen van het Noordeinde (Herenweg). Dit huis stond ergens omtrent het huidige Herenweg 73. Ruim drie jaar later werd dit huis wederom getransporteerd, maar nu schreef men dat het huis was gelegen aan de Gortsteeg. Het was het huis van de kinderen van Cornelis Hoogland. Hieruit blijkt dat de Gortsteeg een andere naam is voor het Noordeinde.
Dit wordt ook bevestigd door een bewaard gebleven keur uit het zo goed als verdwenen dorpsarchief van Hoogwoud, namelijk de 'Keure Tegen Onvoorsigtigheyt van Vuur en Ligt tot voorcominge van ongelucken van Brand', d.d. 30 november 1752. We lezen in het tweede artikel van deze keur het volgende: 'Ten tweeden, dat in de Kerkelaan tot Hoogtwoud, van de kerk af, tot de brug bij Jan Stuyt, en in de Gortsteeg tot het huys van de kinderen van Cornelis Hoogland, de ses huizen zig zullen moeten voorsien met een ladder.' Het betreft hier de zeer dichtbebouwde kern van Hoogwoud waar een brand zeer snel kon overgaan op naastliggende panden. De brug bij Jan Stuyt is meest waarschijnlijk de brug die liep over de Dieringersloot ter hoogte van het huidige Chinees-Indisch restaurant Lotus (zie kaartje letter B.). In 1832 was het perceel van dit restaurant in eigendom van de erven Arien Stuit.
Het was toen al zo'n honderd jaar onbebouwd. Het tweede artikel uit de keur betreft dus de Burgemeester Hoogenboomlaan van de kerk tot de viersprong, de Herenweg (of Zuideinde) van de viersprong tot en met de 'Chinees' en de Herenweg (Noordeinde) van de viersprong tot ongeveer Herenweg 73.
Terug naar A.J. van der Aa in 1844. Hij schrijft dat er aan de Gortsteeg een moestuin ligt die in eigendom is van de toenmalige heer van Hoogwoud. Enige jaren voor 1844 waren daar fundamenten opgegraven die vermoedelijk tot het Huis Hoogwoude hebben behoord. Dit perceel van de heer Van Wassenaar-Starrenburg (de toenmalige heer van Hoogwoud) staat wel aangegeven op de kadastrale kaart van 1832. Tegenwoordig staat hier het postkantoor en een daar aangrenzend deel van de tuin van wijlen dr. Pool.

Merkwaardig genoeg is dit nu juist de plek alwaar Pieter Bossen het pad situeert dat hij mogelijk ten onrechte de Gortsteeg noemt. Het kan ook zijn dat in latere tijden de naam van de 'hele' buurt slechts als naam voor het pad was overgebleven. Fantasieën over een eventuele oprijlaan naar het 'kasteel' op deze plaats ontstaan al snel, maar door gebrek aan gegevens is het laatste woord over de exacte ligging van het voormalige Huis Hoogwoude nog niet gesproken.
Rest mij nog te melden dat deze conclusie over de Gortsteeg niet op zichzelf staat, F.J.C. Speets concludeerde at in 1956 hetzelfde. Het is spijtig dat we door de gebrekkige bronvermelding niet wat verder in de 'keuken' van de auteurs Bossen en Speets kunnen kijken. We zijn genoodzaakt de historische weg van het Huis Hoogwoude opnieuw te bewandelen en mogelijk voert deze wandeling ons ooit langs de Gortsteeg. In een volgend artikel hoop ik eens verder te mogen ingaan op de details die wel bekend zijn over dit 'fantastische' item uit de Hoogwouder historie.
Bronnen en literatuur:
- P. Bossen, Bijdragen tot de geschiedenis van West-Friesland, blz. 61 (Alkmaar 1941).
- F.J.C. Speets, Hoogwoud en Aartswoud in de 18e eeuw, blz.73-74, in: W.F.O.N. nr.23 (1956).
- A.J. van der Aa, Aardrijkskundig Woordenboek 5e deel blz.792 (1844).
- Archiefdienst Westfriese Gemeenten te Hoorn, Oud Rechterlijk Archief van Hoogwoud en Aartswoud, bergnummer 5497 (6-3-1731): over de steeg tussen Burg.Hoogenboomlaan 55 en Het Witte huis; bergnummer 5500 (11-5-1755) en 5501 (1-12-1758): over het huis van Cornelis Hoogland.
- Gemeentehuis Opmeer, zgn. Kerkeboek. Een band met kopieën van diverse documenten waar onder de vermelde keur met betrekking tot brandpreventie uit 1752.
- Kadaster Alkmaar, minuutplan 1832, sectie D2 en D3 en de daarbij behorende 'Oorspronkelijk Aanwijzende Tafel'.
Bijlage:
'Modeme, gedeeltelijk bijgewerkte overzichtskaart waarop de in dit artikel besproken zaken zijn weergegeven'
- = de viersprong
- = de voormalige brug bij Jan Stuyt
- = delen van de (omstreeks 1955 ?) gedempte sloot = Gortsteeg volgens Pieter Bossen.

